Das DB Kreuzungsportal
Im Zuge des Gigabitausbaus haben sich die Telekommunikations (TK) - Leitungskreuzungsanträge innerhalb der letzten drei Jahre vervielfacht. Der wachsende Bedarf wurde erkannt und mit der Entwicklung der zentralen Online-Plattform Kreuzungsanträge geeignete Maßnahmen zur Beschleunigung von Durchlaufzeiten von Leitungskreuzungen angestoßen.
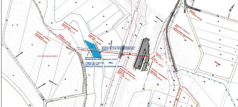
Für die Realisierung der Maßnahme muss rechtzeitig vor Baubeginn bei der Deutschen Bahn ein Antrag auf Zustimmung nach gültigem Regelwerk mit aktuellem Bodengutachten und bahnspezifischem Lageplan eingereicht werden.
Ein Antrag ist sowohl für die Neuherstellung einer Leitungskreuzung als auch für die Änderung, Stilllegung bzw. den Rückbau von Leitungen erforderlich.
Ziel..
.. ist die vereinfachte Beantragung von Bahnstrecken-Querungen im Gigabitausbau mit koordinierender Unterstützungsleistung.
Funktion
Die GigaMaP-Servicestelle unterstützt bei der Umwandlung von Koordinaten in das Ordinatensystem der Deutschen Bahn AG. Dies dient bei der Beantragung von Leitungskreuzungen im Online-Portal als Maßnahme zur Beschleunigung von Durchlaufzeiten.
Nutzen
- Anforderungsgerechte Antragstellung
- Vereinfachte Ordinatentransformation von UTM-Koordinaten in Bahnkilometern
- Alle wichtigen Informationen an einer Stelle
- Zentrale Kontaktstelle
- Anträge können zwischengespeichert & später weiterbearbeitet werden
- Wegfall der Postwege durch digitale Echtzeitübertragung

Weitere Informations- und Schulungsangebote zur Know-How Vertiefung zum Thema erhalten Sie in der GigaMaP-Akademie.
Zugang Leitungskreuzungsantrag der DB Immobilien
Hier registrieren Sie sich für beim Online-Antragsportal der DB Immobilien.
